DEVAM VILLA

by DEVAM ENTERPRISE

Project Photo Project Photo
Project Details
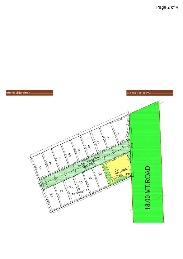
PROJECT TYPE

Plotted Development

APPROVING AUTHORITY

SUDA

PROJECT REGISTRATION NUMBER

PR/GJ/SURAT/KAMREJ/SUDA/PAA11425/070323

Explore More

Discover detailed information about this project on TownPlanMap